Sörfors

Sörfors, Umeå

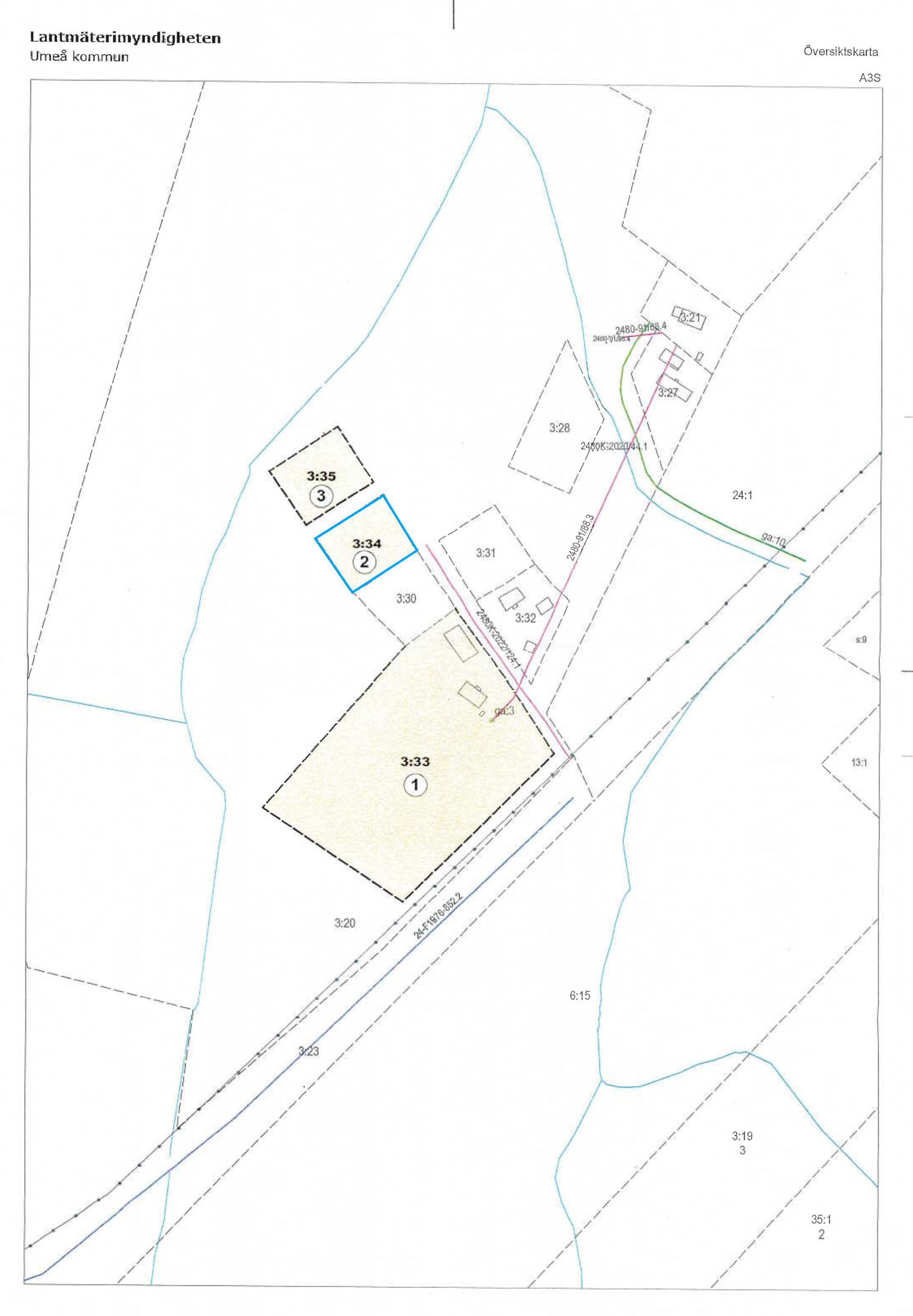
Fint tomt i populära Sörfors

Vill ni bo i en vacker, lantlig miljö men ändå ha nära till Umeås alla bekvämligheter? Nu kan vi erbjuda denna stora villatomt med bra läge i utkanten av omtyckta Sörfors. Här bor man på landet i en levande by med skola F6. Ni bor nära Sörfors golfbana och det är bara 12 km till stan. Tomten lämpar sig mycket väl för bebyggelse. Möjlighet finns att koppla in vatten via områdets vattenförening, byanätets bredbandsfiber finns i området. Här har ni möjlighet att förverkliga er dröm om att bygga ett prisvärt eget hus i vacker miljö!

Fakta

Utgångspris
450 000 kr
eller högstbjudande
Tomtarea

1 902 m²

Fast.beteckning:

Sörfors 3:34

Fastighetsmäklare

Profil

Bo-Gunnar Samuelsson

070-330 78 01

bg@maklarcity.se

Vägbeskrivning

Tomten är skyltad.

Övrigt

I området finns en vattentäkt. Lantmäteriet hjälper nu till med bildandet av en vattenförening för denna vattentäkt, och köparen kan ansluta sig till denna mot en anslutningskostnad av 30.000:-. Lantmäteriet upprättar nu även i samband med fastighetsbildningen servitut för uppfartsvägen till fastigheten. Ansvarig Lantmätare på Umeå kommun är Lennart Holmgren.

Vatten och avlopp

Vatten kan anslutas via vattenförening. De närliggande tomterna har beviljats tillstånd för avlopp till trekammarbrunn.

Närområde

Sörfors ligger vackert där närheten till Umeälven präglat landskapet. Till Umeå är det ca 12 km. Byn är mycket aktiv, här finns bland annat anrika Sörfors IF samt Sörfors golfklubb och golfbanan. Sörfors erbjuder goda möjligheter till rekreation med strövområden, skoterleder och motionsspår. Det finns badplats i byn, fiskemöjligheterna i området är förträffliga.

Kommunikation

Buss till stan går genom byn.

Närservice

I Sörfors finns en fin och omtyckt skola som nyligen byggts ut och renoverats (F-6).


Karta



Bilder